Selección de las noticias más importantes de la redacción de Insider.pro
Egipto y Rusia reúnen pistas sobre el avión siniestrado
Un funcionario ruso dijo que el vuelo de MetroJet con 244 personas «se partió en el aire» antes de estrellarse en la península del Sinaí en Egipto. Las grabadoras de datos de las dos «cajas negras» han sido recuperadas y las autoridades dudan de la reivindicación del Estado Islámico en su participación en el derribo.
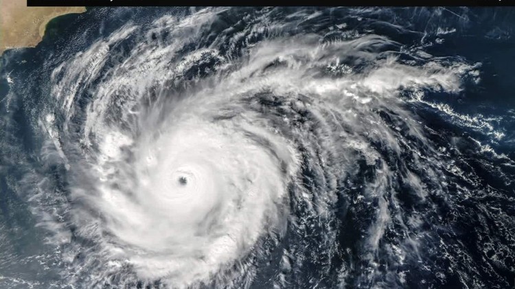
El ciclón Chapala llega a Yemen
Se prevé que la tormenta gigante, equivalente a un huracán de categoría 4, descargue ocho veces la media anual de precipitaciones en el árido país, desgarrado por la guerra. Los ciclones en la península arábiga son muy raros.
François Hollande visita China para promover las negociaciones sobre el clima
El presidente francés visita Chongqing, ciudad del suroeste China, antes de visitar Pekín. Se espera que Hollande presione a su homólogo Xi Jinping antes de una reunión de alto perfil sobre el clima que tendrá lugar en París.
Actualizaciones sobre las economías de Estados Unidos y la zona euro
En los Estados Unidos, el Institute for Supply Management dará a conocer los datos de fabricación y construcción de octubre. También se va a presentar el índice de gestores de compras de octubre de la eurozona, en el que se espera que Francia se encuentre en la línea divisoria entre la expansión y la contracción.
Estados Unidos sopesa la discriminación racial en la elección de jurados
El tribunal evaluará si hubo discriminación racial en la selección del jurado para un juicio de asesinato en 1987. Los grupos que defienden los derechos sostienen que todavía es una práctica muy común. Los datos sugieren que los jurados compuestos por personas blancas son menos propensos a absolver a los sospechosos.
Más informes trimestrales
Visa (NYSE: Visa [V]), Commerzbank (ETR: CBK) y Ryanair (NASDAQ: RYAAY) son las compañías que van a presentar sus informes de resultados trimestrales.
Turquía vuelve al sistema de un partido único
El partido de Recep Tayyip Justicia y Desarrollo obtuvo un resultado mejor de lo esperado con un 49,4% de los votos, lo que le asegura una mayoría parlamentaria. Las primeras elecciones que han devuelto a Turquía al gobierno de Erdogan han supuesto serios problemas para el principal partido kurdo del país. Se informó de violentos en el distrito kurdo de Diyarbakir.
El primer ministro chino fija un objetivo de crecimiento del 6,5% para los próximos cinco años
Li Keqiang intentó aliviar los temores sobre una desaceleración diciendo que la economía china «sigue creciendo a un ritmo ordenado». Por otra parte, la actividad manufacturera del país ha sorprendido a los economistas al contraerse por tercer mes consecutivo.
Miles de birmanos han decidido apoyar a Aung San Suu Kyi
El político birmano y luchador por la democracia hizo el domingo un llamamiento a los votantes para que lo apoyen en las elecciones del 8 de noviembre. Suu Kyi advirtió que el partido de gobierno no quiere un cambio real, y prometió que su partido va a llevar a cabo rápidamente reformas y va a garantizar la protección de las minorías.
Las relaciones comerciales y de seguridad de Japón, Corea del Sur y China completamente «restauradas»
Los vecinos rivales han estado compitiendo desde una cumbre trilateral que tuvo lugar en el año 2012 especialmente sobre cuestiones económicas debido a disputas territoriales y agravios históricos. Los países también han hablado sobre sus objetivos de desnuclearización de Corea del Norte.
Los trabajadores del sector petrolero de Brasil se declaran en huelga
El mayor sindicato de Petrobras ha comenzado un paro indefinido en protesta por las ventas de activos propuestas del gigante petrolero. La huelga afecta a la plataforma, la refinería y otros trabajadores, pero Petrobras ha insistido en que no afectará a la producción de petróleo.
Túnez esboza planes para duplicar la inversión extranjera
El Ministro de finanzas Yassine Brahim ha dicho que una nueva ley de inversiones, que entrará en vigor a principios del próximo año, simplificará los negocios en el país, por lo que las empresas tendrán un incentivo para transferir la producción al país.
Calendario económico
- 09:15 GMT+1 (CHF) Ventas minoristas (Anual) (Sep)
- 09:15 GMT+1 (EUR) PMI manufacturero de España, Suiza, Italia, Francia y Alemania (Oct)
- 10:00 GMT+1 (EUR) PMI manufacturero de la zona euro (Oct)
- 10:30 GMT+1 (GBP) PMI manufacturero (Oct)
- 15:45 GMT+1 (USD) PMI manufacturero (Oct)
- 16:00 GMT+1 (USD) Índice ISM de empleo en el sector manufacturero (Oct)
- 16:00 GMT+1 (USD) PMI manufacturero del ISM (Oct)
- 18:00 GMT+1 (USD) Declaraciones de Williams, miembro del FOMC

